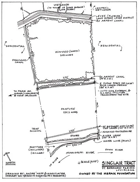
The Sinclair Tract

This 675 acre LED Certified Tract wedged between the Mississippi River and the 40 Arpent Canal, which makes up the northern land border of St. Bernard Parish, is ready for development today. With access to St. Bernard Highway and E. Judge Perez Dr., the Norfolk Southern Railroad, and the River itself, this site can be used for a variety of greenfield developments, such as an industrial park, research campus, or container storage facility. The tract is zoned I-2 and available for lease or sale.

Learn more
Previous
Previous

The Kearney Building

Next
Next

The Riverlands Tract